Study evaluates basement potential offshore northwest Europe
Offshore staff
CANBERRA, Australia – Frogtech Geoscience has published the North Atlantic Regional SEEBASE Study and GIS.
This is said to provide a comprehensive regional study of basement architecture across theNorth Sea and North Atlantic conjugate margins of Norway, Greenland, the UK, and Ireland.
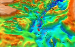
The SEEBASE (Structurally Enhanced view of Economic BASEment) model visualizes basement topography at the geologically complex Baltica-Avalonia-Laurentia collisional triple junction.
Frogtech says the basement-focused analysis addresses the challenge of interpreting basement beneath basalt and/or salt on seismic data, revealing that the deepest North Atlantic depo-centers are floored by shallow mantle below hyper-extended crust.
Basin trends in the prospective regions of the North Atlantic and North Sea were directly controlled by pre-existing Caledonian structures, the study found, and reinforced during the Variscan Orogeny.
Paleogeography in reconstructed space shows North Sea basement platforms as barriers between contrasting marine and non-marine clastic depositional environments in the early to mid-Paleozoic.
Reef complexes developed above these Caledonian-cored platforms, forming significant but little explored Paleozoic reservoirs.
Frogtech applied its proprietary field geophysics interpretation process that features detailed integration of gravity and magnetic data, basement terranes and composition, and iterative tectonic and reconstructed paleogeographic analysis, to produce SEEBASE’s depth-to-basement and present-day basement heat flow model.
05/30/2017
